¥¹¥Ý¥ó¥µ¡¼¥É¥ê¥ó¥¯
¥Ý¥¤¥ó¥È:ÀéÍÕ¸©ÉÙ±º-¥¤¥·¥â¥ÁÄà²ÌÄà¤ê¾ðÊó(2013ǯ5·î5Æü3»þ36ʬ)
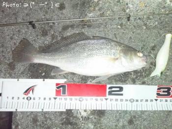
2013ǯ5·î5Æü3»þ36ʬ¤ËÄà¤ì¤¿¥¤¥·¥â¥Á¤Î¥Ý¥¤¥ó¥ÈÀéÍÕ¸©ÉÙ±º(´ØÅìÃÏÊý)¢»(¡¬¡¼¡¬)¢º¤µ¤óÄà²Ì¾ÜºÙ¾ðÊó¤Ç¤¹¡£¤³¤Î¾ðÊó¤ò¾Ü¤·¤¯¸«¤ë¤³¤È¤Ç¡¢¥ë¥¢¡¼¡¢¥í¥Ã¥É¡¢¥¿¥Ã¥¯¥ë¡Ê»Å³Ý¤±¡Ë¤Ê¤É¸úΨ¤è¤¯¼«Ê¬¤Ê¤ê¤ÎÇúÄà¤ò½é¿´¼Ô¤Ç¤âÁÀ¤¦¤³¤È¤¬¤Ç¤¤Þ¤¹¡£
-¢»(¡¬¡¼¡¬)¢º¤µ¤óÄà²ÌÊó¹ðÌܼ¡-
¥¤¥·¥â¥ÁÄà²Ì¥µ¥¤¥º[¢»(¡¬¡¼¡¬)¢ºÄà²Ì]
¥¤¥·¥â¥Á
29cm(Ê¿¶Ñº¹:+1.8cm)
¥¤¥·¥â¥ÁÊ¿¶Ñ¥µ¥¤¥º
2013ǯ5·îÊ¿¶Ñ
27.2cm
Á´¹ñÊ¿¶Ñ
28.5cm
¥¤¥·¥â¥Á¤Î¥µ¥¤¥º¥é¥ó¥¥ó¥°
¥Ý¥¤¥ó¥È¾ì½ê¡¦¥ë¥¢¡¼[¢»(¡¬¡¼¡¬)¢ºÄà²Ì]
- Äà²Ì»þ´Ö
- 2013ǯ5·î5Æü(3»þ36ʬ)
- ¥Ý¥¤¥ó¥È¾ì½ê
- ÀéÍÕ¸©ÉÙ±º
- ¥ë¥¢¡¼(»Å³Ý¤±)
- ¥½¥ë¥Æ¥£¡¼¥ô¥¡¥ó¥Ñ¥¤¥¢
- ¥¢¥¯¥»¥¹¿ô
- 3299pv
¥¤¥·¥â¥Á¥ó¥°¢ö
v(¡¦¢Ï¡¦*)
¥¹¥Ý¥ó¥µ¡¼¥É¥ê¥ó¥¯
ÀéÍÕ¸©ÉÙ±º¤Î¥Ý¥¤¥ó¥È¾ÜºÙ¾ðÊó[¢»(¡¬¡¼¡¬)¢ºÄà²Ì]
2013ǯ5·î5Æü¤Îµ¤¾Ý
¾ÜºÙµ¤¾Ý¾ðÊó
- Å·µ¤
- ²÷À²
- µ¤²¹
- 17.3¡î
- É÷
- ÆîÆîÀ¾2.2m/s
- µ¤°µ
- 1015.2hPa
- »ç³°Àþ»Ø¿ô
- 0
- »ë³¦
- 20km
¾ÜºÙ¿å·Ï¾ðÊó
- ¿å²¹
- 0¡î
- ¿å¿§
- »ØÄê¤Ê¤·

- Ĭ
- ¾ðÊó¤Ê¤·0
¥¤¥·¥â¥ÁÇúÄॷ¡¼¥º¥ó[ÀéÍÕ¸©]
¢»(¡¬¡¼¡¬)¢º¤µ¤ó¤ÎÄà²Ì/¥Ý¥¤¥ó¥È(¥é¥ó¥À¥à5·ï)
¥¹¥Ý¥ó¥µ¡¼¥É¥ê¥ó¥¯
ºÇ¿·ÀéÍÕ¸©-¥¤¥·¥â¥ÁÄà²Ì
Ãϰ襡¼¥ï¡¼¥É¡§ÀéÍÕ¸©ÀéÍÕ»ÔÃæ±û¶è,ÀéÍÕ¸©ÀéÍÕ»Ô¼ãÍÕ¶è,ÀéÍÕ¸©ÀéÍÕ»Ô°ðÌÓ¶è,ÀéÍÕ¸©ÀéÍÕ»Ô²Ö¸«Àî¶è,ÀéÍÕ¸©»Í³¹Æ»»Ô


ÀéÍÕ¸©Æâ˼(¥á¥Ð¥ë¡õ¥«¥µ¥´ - 26cm)
ÀéÍÕ¸©ÍÜÏ·Àî(¥Ò¥é¥á - 25cm)
ÀéÍÕ¸©³°Ë¼(¥«¥Þ¥¹¡õ¥¤¥·¥â¥Á¡õ¥Þ¥¤¥ï¥· - 30cm)
»³¸ý¸©ÅìÉô(¥À¥Ä - 72cm)



¤³¤ó¤Ë¤Á¤Ï

¥¤¥·¥â¥Á¥ó¥°¢ö¥¤¥¨¡¼¥¤¡ª
(*^o^)¡¿¡À(^-^*)ŽÀŽÁ
¼Ì¿¿¤Ë¼Ì¤Ã¤Æ¤ë¤Î¤Ï¥Ú¥ó¤Ç¤¹¤«¡©
¥Ú¥ó¤À¤È¤·¤¿¤é¸«¤¿¤³¤È̵¤¤¥«¥é¡¼¤«¤â¡ù
§ë(¡¬¢¦¡¬§ë)
-->[WANPAKU]¤µ¤ó¤Ø
¤³¤ó¤Ë¤Á¤Ï¢ö
¥¤¥¨¡¼¥¤q(^-^q)
¥¤¥Ã¥·¡¼¡¢¥ë¥¢¡¼¤ÇÄà¤ì¤ë¤ó¤Ç¤¹¤Í¡Á
¤½¤¦¤½¤¦¥Ú¥ó¤Ç¡Ä
¤À¡¦¤«¡¦¤é!!
¥Ú¥ó¤¸¤ã̵Íý¥Ç¥¹¤Ã¤Æ
(*¡®§¥¡)¥Î¡ª¡ª¡ª
¡Ä¤È¡¢¤¤¤¤¤Ä¤Ä¾¯¤·¤Ç¤â¤´´üÂԤ˱þ¤¨¤è¤¦¤È¥Ú¥ó¤âµ¯Æ°¤·¤Þ¤·¤¿¤¬
ÉÔȯ¤Ç¤¹m(._.)m