¥¹¥Ý¥ó¥µ¡¼¥É¥ê¥ó¥¯
¥Ý¥¤¥ó¥È:µÜ¾ë¸©ÀçÆî-¥¢¥¤¥Ê¥áÄà²ÌÄà¤ê¾ðÊó(2014ǯ12·î26Æü16»þ48ʬ)
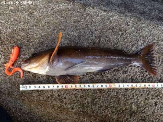
2014ǯ12·î26Æü16»þ48ʬ¤ËÄà¤ì¤¿¥¢¥¤¥Ê¥á¤Î¥Ý¥¤¥ó¥ÈµÜ¾ë¸©ÀçÆî(ÅìËÌÃÏÊý)B.ENERGY¤µ¤óÄà²Ì¾ÜºÙ¾ðÊó¤Ç¤¹¡£¤³¤Î¾ðÊó¤ò¾Ü¤·¤¯¸«¤ë¤³¤È¤Ç¡¢¥ë¥¢¡¼¡¢¥í¥Ã¥É¡¢¥¿¥Ã¥¯¥ë¡Ê»Å³Ý¤±¡Ë¤Ê¤É¸úΨ¤è¤¯¼«Ê¬¤Ê¤ê¤ÎÇúÄà¤ò½é¿´¼Ô¤Ç¤âÁÀ¤¦¤³¤È¤¬¤Ç¤¤Þ¤¹¡£
-B.ENERGY¤µ¤óÄà²ÌÊó¹ðÌܼ¡-
¥¢¥¤¥Ê¥áÄà²Ì¥µ¥¤¥º[B.ENERGYÄà²Ì]
¥¢¥¤¥Ê¥á
31cm(Ê¿¶Ñº¹:-4.7cm)
¥¢¥¤¥Ê¥áÊ¿¶Ñ¥µ¥¤¥º
2014ǯ12·îÊ¿¶Ñ
35.7cm
Á´¹ñÊ¿¶Ñ
36.0cm
¥¢¥¤¥Ê¥á¤Î¥µ¥¤¥º¥é¥ó¥¥ó¥°
¥Ý¥¤¥ó¥È¾ì½ê¡¦¥ë¥¢¡¼[B.ENERGYÄà²Ì]
- Äà²Ì»þ´Ö
- 2014ǯ12·î26Æü(16»þ48ʬ)
- ¥Ý¥¤¥ó¥È¾ì½ê
- µÜ¾ë¸©ÀçÆî
- ¥ë¥¢¡¼(»Å³Ý¤±)
- ¥¥¸¥Ï¥¿¥¯¥é¥Ö
- ¥¢¥¯¥»¥¹¿ô
- 1609pv
¤²¤´¨¤Ç¥¢¥¤¥Ê¥á¤Îµ¤ÇÛ¤¬¤¢¤ê¤Þ¤»¤ó
¥¹¥Ý¥ó¥µ¡¼¥É¥ê¥ó¥¯
µÜ¾ë¸©ÀçÆî¤Î¥Ý¥¤¥ó¥È¾ÜºÙ¾ðÊó[B.ENERGYÄà²Ì]
2014ǯ12·î26Æü¤Îµ¤¾Ý
¾ÜºÙµ¤¾Ý¾ðÊó
- Å·µ¤
- À²¤ì
- µ¤²¹
- -1.4¡î
- É÷
- À¾ËÌÀ¾4.3m/s
- µ¤°µ
- 1012.4hPa
- »ç³°Àþ»Ø¿ô
- 0
- »ë³¦
- 20km
¾ÜºÙ¿å·Ï¾ðÊó
- ¿å²¹
- 0¡î
- ¿å¿§
- »ØÄê¤Ê¤·

- Ĭ
- ¾ðÊó¤Ê¤·0
¥¢¥¤¥Ê¥áÇúÄॷ¡¼¥º¥ó[µÜ¾ë¸©]
B.ENERGY¤µ¤ó¤ÎÄà²Ì/¥Ý¥¤¥ó¥È(¥é¥ó¥À¥à5·ï)
¥¹¥Ý¥ó¥µ¡¼¥É¥ê¥ó¥¯
ºÇ¿·µÜ¾ë¸©-¥¢¥¤¥Ê¥áÄà²Ì
Ãϰ襡¼¥ï¡¼¥É¡§µÜ¾ë¸©ÀçÂæ»ÔÀÄÍÕ¶è,µÜ¾ë¸©ÀçÂæ»ÔµÜ¾ëÌî¶è,µÜ¾ë¸©ÀçÂæ»ÔÀô¶è,µÜ¾ë¸©ÀçÂæ»ÔÂÀÇò¶è,µÜ¾ë¸©ÂçÏÂÄ®


ÀéÍÕ¸©ÍÜÏ·Àî(¥·¡¼¥Ð¥¹ - 45cm)
¹âÃθ©È¨Â¿·´Âç·îÄ®(¥¢¥«¥Ï¥¿ - 26cm)
¹âÃθ©È¨Â¿·´Âç·îÄ®(¥¢¥«¥Ï¥¿ - 31cm)
Ä»¼è¸©ÊÆ»Ò»ÔÆçÄ®(¥·¡¼¥Ð¥¹ - 40cm)


